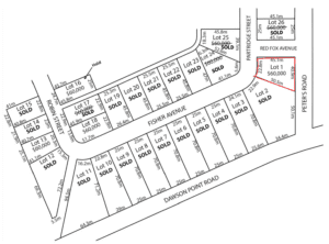
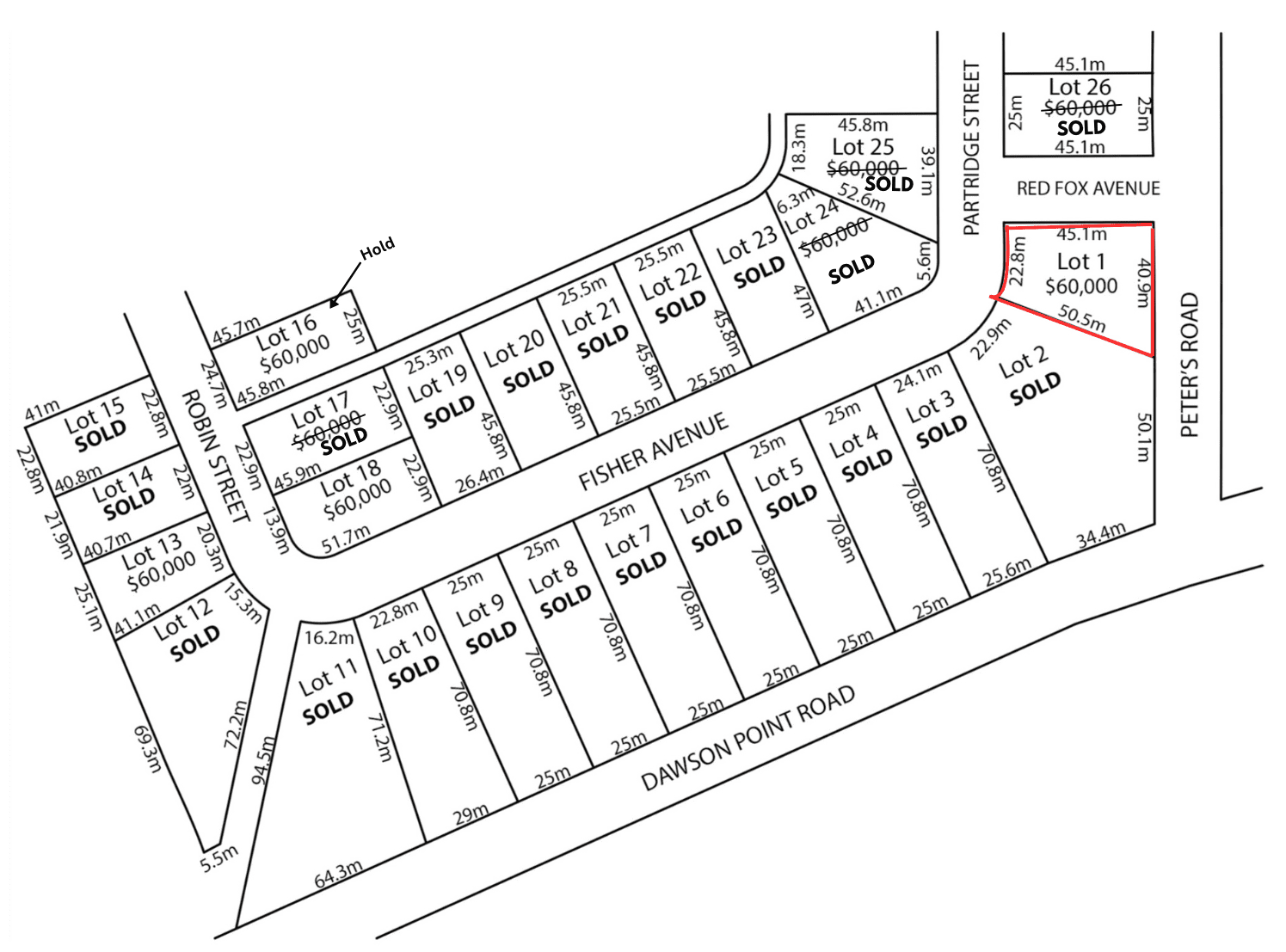
Lot 1 Partridge Street

$60,000

About This Property

Prime building lots located on newly developed Boreal  subdivision. Along Dawson Point Road, near Lake Temiskaming, this new residential neighbourhood is the perfect spot to build your dream home. Near secondary French school and elementary school, and quick zip over to Hwy 65 and the big box stores in Dymond. Email us for more information!

Key Details

sq. ft.

Beds

Baths

New Liskeard

Contact

Jada Miller

Broker

705-676-6077

jada.miller@mrgi.ca

Details

Price

$60,000

Property Tax

846.26

Address

Lot 1 Partridge Street

District

Timiskaming

City

Temiskaming Shores

Province

Ontario

Postal Code

P0J1P0

Interior

Land / Lot Details

Lot Size

75 x Irregular

View

East

Water Supply

N/A

Sewage

N/A

Zoning

R2

Room Sizes

New Liskeard

New Liskeard is the largest populated town in the District of Temiskaming, and like Haileybury, is located along the shores of Lake Temiskaming. New Liskeard’s economy relies primarily on agriculture and forestry and is the industrial, commercial and administrative centre of the Temiskaming area.